Nuôi cá Rô phi đơn tính!!! Help

  • Thread starter Thread starter kutyhn
  • Ngày gửi Ngày gửi
Hiện e đang định ngăn đôi cái ao, để 6000m2 nuôi cá rô phi đơn tính. Vậy ACE nào trong gđ Agri đã nuôi cho em hỏi:
1. Nuôi loại này có được hok? ưu nhược điểm?
2. Nên nuôi loại nào trong mấy loại hiện nay ( Vằn, Gif, Đường Nghiệp..)
3. Cơ sở giống nào cho giống tốt ở khu vực quanh Hà Nội?
Thansks all.
 
Máy e chiều ném cỏ đánh rơi xuống nước. Mai mốt e ọi bác. E thì đang máu con Đường Nghiệp. Đang vét nốt cái ao để tính thả> Nên e mún xúc cá giống bây giờ. Bác ib e cái giá loại 40c/kg đc hok ạ? Thanks bác
 
Em có ao nhà khoảng 200m2 thôi, giống cá rô phi Đường Nghiệp này ở miền Nam có bán không mấy anh/chị?
Cho ăn bằng cám viên thì đơn giản rồi:
- Cá không bệnh, không phải cho ăn thuốc thì cứ đổ cám trực tiếp xuống cho ăn (nếu lười), còn siêng chút thì trộn chút nước ẩm để 15-20 phút rồi mới cho ăn sẽ tốt hơn.
- Khi cần bổ sung C hoặc kháng sinh, hoặc chế phẩm thì trộn đều với cám rồi đổ nước vừa phải vào, để khoảng 15 phút cho thuốc ngấm vào cám, thì rải xuống cho cá ăn bình thường thôi.

Hôm qua em mới chụp con cá rô phi Đường Nghiệp nuôi 4,5 tháng, bình quân đạt 1,2kg, các bác tham khảo:

Em này khá bự, chắc giành ăn dữ lắm mới đạt gần 2kg thế này đây:
Xem file đính kèm 3173
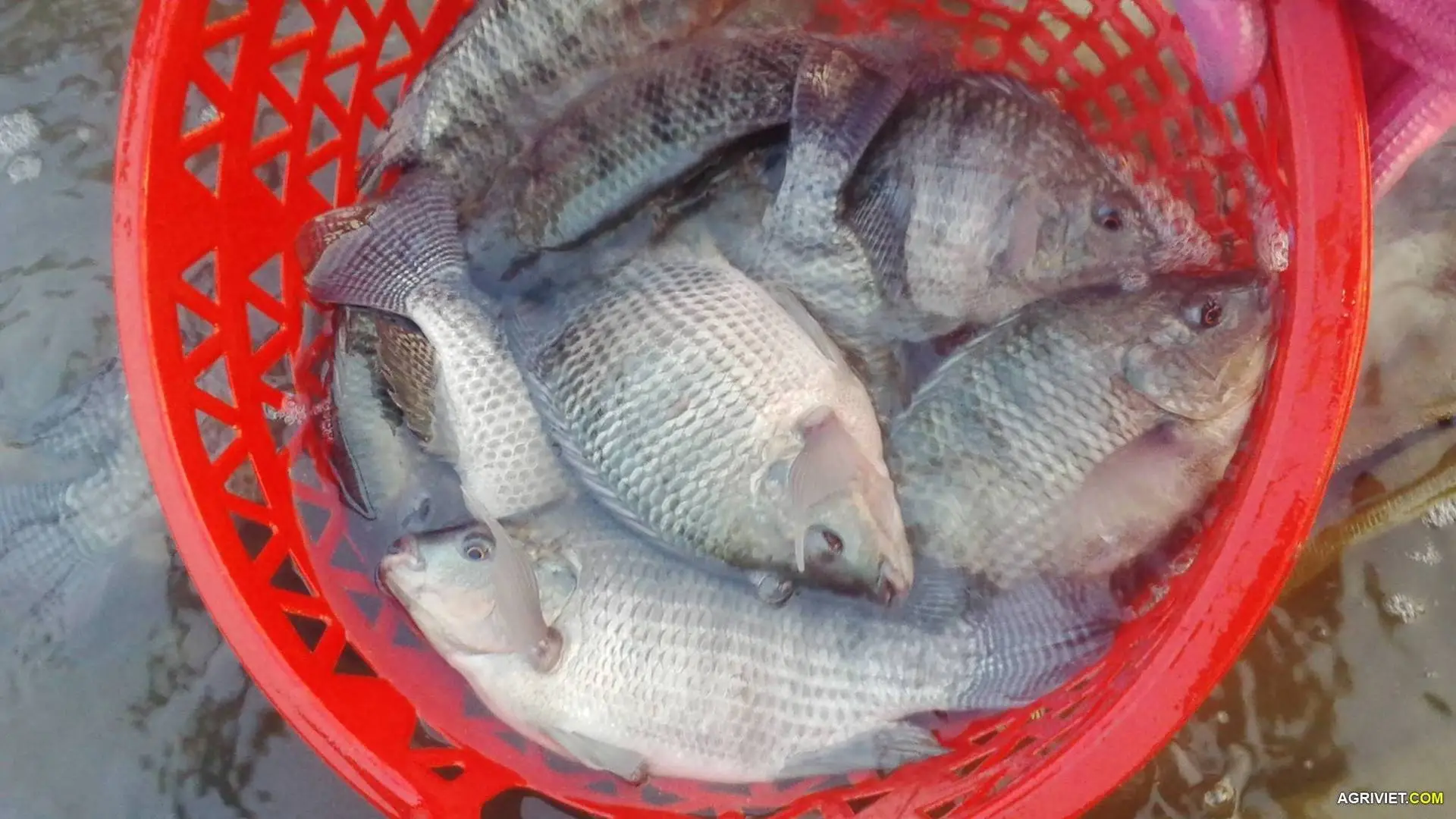
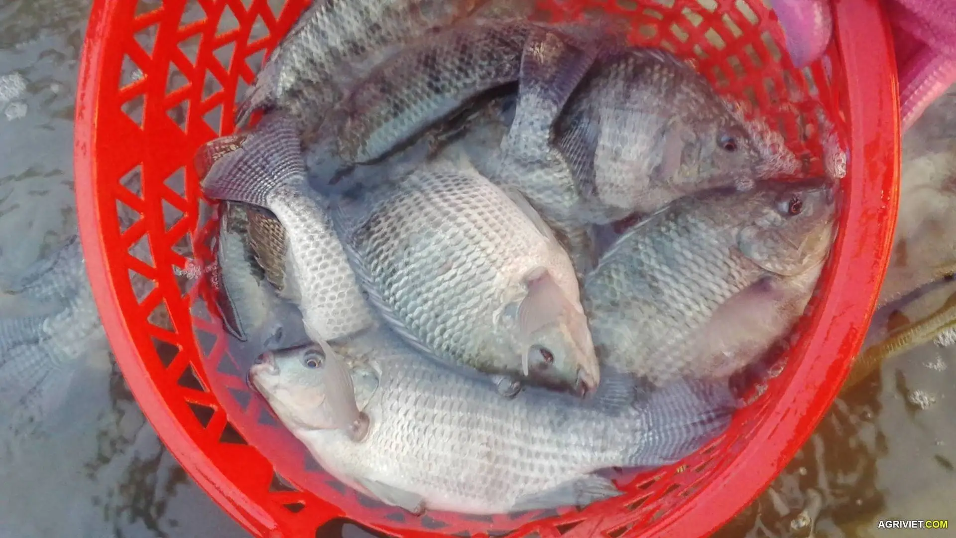
Vớt nhiêu đây đã 20kg rồi ạ :)

Xem file đính kèm 3172
Bác nuôi tốt quá, em cũng đang tính thả loại rô phi này trong ao đất 200m2 sâu 2,5-3m, nuôi bằng thức ăn tự chế nè...nhìn hình ham quá. Cám ơn bác đã chia sẻ
 
Máy e chiều ném cỏ đánh rơi xuống nước. Mai mốt e ọi bác. E thì đang máu con Đường Nghiệp. Đang vét nốt cái ao để tính thả> Nên e mún xúc cá giống bây giờ. Bác ib e cái giá loại 40c/kg đc hok ạ? Thanks bác
Bác cần khoảng bao nhiêu? vì bữa giờ mấy bác ở vựa giống Vĩnh Phúc cũng hốt gần hết rồi, đợt này rét quá, cá cũng ăn chậm hơn, ăn bữa chính vào buổi trưa cho ăn nhiều, tối ăn bằng 1/3 thôi. Phải ra Tết ấm ấm chút bác nuôi thì đẹp, lúc đó đám 200c/kg hiện tại của em nó lên 50-70c/kg bác lấy nuôi là đẹp.
Em có ao nhà khoảng 200m2 thôi, giống cá rô phi Đường Nghiệp này ở miền Nam có bán không mấy anh/chị?

Bác nuôi tốt quá, em cũng đang tính thả loại rô phi này trong ao đất 200m2 sâu 2,5-3m, nuôi bằng thức ăn tự chế nè...nhìn hình ham quá. Cám ơn bác đã chia sẻ
Cá rô phi Đường Nghiệp thì ở miền Nam rất nhiều nơi bán rồi nhé bạn, ở trong đó được lợi thế là ấm áp quanh năm nên thả giống khi nào cũng được nhé. :)

Chúc bạn thành công!
 
Có thắc mắc là cá đơn tính sao nó đẻ được vậy các bác?

Bác có thể tham khảo bài: chuyển đổi giới tính cá rô phi

Vốn dĩ cá rô phi bột (giống đực và cái) được tắm hormon và cho ăn thức ăn có trộn hormon mới chuyển thành giống đực với tỉ lệ cao (tất nhiên vẫn còn một số con "cứng đầu" cứ thích làm giống cái).

Vì vậy, sau một thời gian nuôi tới tuổi phát dục, cá đực (lẽ ra là cái) có khả năng chuyển hóa thành cái trở lại và mang trứng (vì cơ quan sinh dục vẫn là cái, hormon là đực thôi), sẽ giao phối với cá rô phi đực để sinh sản.

Đó là lý do vì sao giống cá rô phi đơn tính dòng Đường Nghiệp có lợi thế là: thời gian trưởng thành và phát dục muộn hơn, trong khi trọng lượng cơ thể chúng phát triển nhanh hơn giống cũ, được bà con nông dân ưu chuộng nuôi nhiều hơn.

Bác nào không tin cứ thử thả trong ao toàn bộ cá rô phi đơn tính, sau 1 năm ao nhà các bác xuất hiện ngập tràn cá con. :)
 
Last edited:
@kutyhn: Chào bạn, hiện tại khu vực quanh Hà Nội có Vĩnh Phúc, Phú Thọ cung cấp cá rô phi đơn tính và rô phi Đường Nghiệp mà hợp tác xã mình thường lấy, đã nuôi 2 năm nay và hiệu quả kinh tế cao.

Bạn có thể xem qua bài viết của mình: kỹ thuật nuôi cá rô phi Đường Nghiệp

Chỗ mình đã nuôi cá rô phi thương phẩm thành công và nuôi quanh năm, nếu bạn cần tư vấn kỹ thuật thì post tại đây hoặc email mình tư vấn kỹ thuật nuôi thực tế (nhiều cái trên mạng không chỉ những thủ thuật và phòng trị bệnh đâu). Loại rô phi đường nghiệp thì nó hấp thụ thức ăn tới 70% lận, nên lớn rất nhanh, thậm chí bằm rau muống nhỏ ra cho nó ăn 2 lần/tuần nó cũng xử đẹp. Và thêm nữa nó chịu được sốc nước, sốc bùn (như vụ lũ vừa qua ở mình nhiều cá chết do sặc bùn, riêng 5 lồng rô phi không chết dù chỉ 1 con).

Chúc bạn thành công!
gủi qua oto đc ko anh.a cho em sdt
 
Chào bạn Trình, bên em có gửi qua xe khách nếu bác mua số lượng ít, giới hạn trong vòng 10h tới nơi cá vẫn khỏe nhé.
địa chỉ a ở chỗ nào a nhỉ.tháng 8 âm lịch có cá giống ko anh
 
Chào bác @htxquanghuc . Em cũng đang có nhu cầu nuôi cá rô phi lồng bè. Cho em hỏi chút là đầu ra của sản phẩm là bên mình có bao tiêu luôn ko hay bà con tự bao tiêu ạ
Hơn nữa với kích thước lồng là 5x5x3m thì có thể thả được bao nhiêu con ạ
 
Chào bác @htxquanghuc . Em cũng đang có nhu cầu nuôi cá rô phi lồng bè. Cho em hỏi chút là đầu ra của sản phẩm là bên mình có bao tiêu luôn ko hay bà con tự bao tiêu ạ
Hơn nữa với kích thước lồng là 5x5x3m thì có thể thả được bao nhiêu con ạ
Bạn đang ở tỉnh nào?
 
Bạn đang ở tỉnh nào?
em ở Phú Thọ bác ạ . Cũng đang tìm hiểu thêm chút về cá tầm và cá lăng
hiện tại em đang làm lông nuôi thử cá trắm cỏ trên sông Đà. Muốn làm thêm vài lồng nuôi nữa nhưng đang phân vân là nuôi loại nào thì kinh tế hơn
 
Back
Top